西安科技大学

采矿学


金洪伟
安全科学与工程学院

返回目录⇡

如何浏览?

  1. 从浏览器地址栏打开 https://zimo.net/ck/
  2. 点击章节列表中的任一链接,打开相应的演示文稿;
  3. 点击链接打开演示文稿,使用空格键或方向键导航;
  4. f键进入全屏播放,再按Esc键退出全屏;
  5. Alt键同时点击鼠标左键进行局部缩放;
  6. Esco键进入幻灯片浏览视图。

请使用最新版本浏览器访问此演示文稿以获得更好体验。

第4章 井田开拓的
基本问题

目 录

  1. 井筒位置和数目
  2. 开采水平划分
  3. 阶段大巷布置
  4. 井底车场
  5. 矿井开拓延深

第1节 井筒位置和数目

井筒
矿井由地下通向地面的出口,是煤炭、材料、设备、人员、风、电的必经之路,是整个矿井生产系统的咽喉。

矿井最少有两个井筒:

  • 主井:煤炭运输提升,人员通行(斜井、平硐)。
  • 副井:下放材料、设备,回收设备,排矸,人员通行。

井筒位置:

  • 井口和井底沿井田走向和倾斜方向的位置;
  • 井筒本身所通过的岩层层位。

第1节 井筒位置和数目

一、地面因素

  • 充分利用地形;
  • 少占或不占良田;
  • 防止地面洪水威胁;
  • 工程地质条件好;
  • 防止森林火灾;
  • 各种人为因素。

第1节 井筒位置和数目

二、地下因素

  • 穿过的地层有良好的地质条件;
  • 保证底部巷道和硐室有良好的维护条件;
  • 避免老空区和垮落岩层的影响;
  • 减少工业场地损失;
  • 保证井筒延深时,不受底板强含水层威胁。

第1节 井筒位置和数目

三、技术经济因素

井筒落底位置应尽可能:

  • 使井下运输、提升等生产环节简单;
  • 使开拓工程量小,建井快,出煤早;
  • 降低煤炭运输费等运营费用,并使矿井生产易于管理。
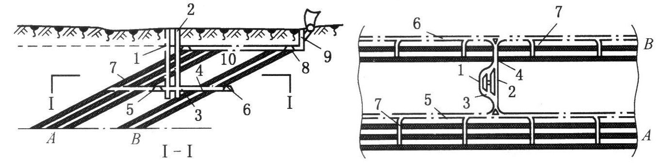
立井井筒沿井田倾斜方向布置方案

1-井筒;2-石门;3-富含水层;4-井筒及工业场地煤柱

立井井筒沿井田倾斜方向布置方案比较

三、技术经济因素

急倾斜煤层开拓井筒位置示意图

a-井筒位于煤层顶板;b-井筒位于煤层底板
1-井筒;2-主要石门;3-井筒中心线;4-煤柱边界线

对于急倾斜煤层,特别是厚煤层,井筒位置对石门长度影响较小,而对安全煤柱损失的大小影响突出。因此,为了减少煤柱损失,井筒位置最好靠近煤层底板或布置在不受采动影响的底板岩石中。

第2节 开采水平划分

开采水平的数目首先要解决能否采用下山开采的问题。再确定阶段的数目和一个开采水平服务的阶段个数。

第2节 开采水平划分

一、采区下山开采

上下山开采比较

优点:基建投资小;有利于矿井生产的均衡;运输总费用稍低。

缺点:排水费用高;通风管理困难,容易漏风;掘进时通风容易,装载、运输、排水困难。

适用情况:只有当煤层倾角较小(<16°),瓦斯含量较低,涌水量不大时,才使用上下山开采方式。

第2节 开采水平划分

二、开采水平的确定

1. 开采水平高度

  • 随标高增大而减少的费用:井底车场及有关硐室、开采水平内的石门及阶段平巷等的基本建设费用,以及设备和安装等费用。
  • 随标高增大而增高的费用:上山部分煤的运输费用、通风费用以及巷道维护费用等。

二、开采水平的确定

2. 阶段垂高

  • 垂高过大:上山采区的辅助运输环节增加(缓倾斜煤层),溜煤眼的掘进和维护困难。
  • 垂高过小:采区服务年限短,增加巷道的煤柱损失。

确定方法:要充分考虑各种影响因素,并根据国家有关技术政策和规定来综合分析。

第3节 阶段大巷布置

阶段大巷
横贯井田走向,为整个阶段服务的开拓巷道。

分类

  • 阶段运输大巷;
  • 阶段回风大巷

特点:横贯井田走向,服务年限长,工程量大。

第2节 开采水平划分

二、运输大巷的布置方式

第2节 开采水平划分

一、阶段运输大巷的运输方式

分层运输大巷布置方式示意图

1-主井;2-副井;3-主要石门;4-分层运输大巷;
5-分层回风巷;6-回风石门;7-回风井;8-含水岩层

一、阶段运输大巷的运输方式

集中运输大巷






1-主井;2-副井;3-井底车场;4-主要石门;
5-集中运输大巷;6-采区石门;7-集中回风大巷;8-回风井

一、阶段运输大巷的运输方式

分组集中大巷

1-主井;2-副井;3-井底车场;4-主要石门;5-A煤组集中运输大巷;
6-B煤组集中运输大巷;7-采区石门;8-回风大巷;9-回风井

第2节 开采水平划分

二、运输大巷的布置方式

第2节 开采水平划分

三、运输大巷的位置

  • 煤层底板岩石中:大巷服务年限较长。
  • 煤组下部煤层中:大巷服务年限较短,煤组下部煤层为薄及中厚煤层,煤质坚硬、围岩稳定且自燃倾向不严重和煤与瓦斯突出危险较小。

第2节 开采水平划分

四、阶段回风巷布置

  • 矿井阶段回风道的布置与运输大巷布置的原则基本相同。
  • 实际上,本水平的运输大巷常作为下水平的总回风大巷。

第4节 井底车场

井底车场
井硐与井下主要巷道连接处的一组巷道和硐室的总称。它担负着矿井煤矸、物料、设备、人员的转运,又为矿井的通风、排水、供电服务,是连接井下运输和井筒提升的枢纽。

第4节 井底车场

一、井底车场的分类

1-主井;2-副井;3-翻笼(翻车机)硐室;4-煤仓;5-箕斗装载室;
6-清理井底撒煤斜巷;7-中央变电所;8-水泵房;9-调度室;10-人车停车场;
11-工具室;12-水仓;13-主井重车线;14-主井空车线;15-副井重车线;
16-副井空车线;17-材料车线;18-绕道回车线;19-调车线;N1~N6-道岔编号

立井环行井底车场示意图
立井折返式井底车场示意图

第4节 井底车场

二、井底车场形式选择

选择井底车场形式时,应根据矿井的不同条件考虑以下主要原则:

  • 运输系统和调车方式简单,有利于采用集中、闭塞、自动控制信号系统;
  • 车场通过能力较矿井实际生产能力富余30%以上;
  • 减少巷道开拓工程量;
  • 尽量减少巷道交岔点,以便减少施工的困难和提高行车速度,增大井底车场的通过能力;
  • 整个车场巷道和硐室,应布置在稳定的,易于维护的岩层中。

第5节 矿井开拓延深

矿井开拓延深
多水平开拓的生产矿井为生产接替而进行的下一开采水平的井巷布置及工程实施。

一、矿井延深的原则

  • 充分利用老矿原有设备、设施,挖掘现有的生产潜力。
  • 尽量减少对现有生产水平的影响,并有利于下水平的延深,同时,力求生产系统简单,缩短新旧开采水平交替生产的时间。
  • 临时性的辅助工程量小,减少投资,缩短工期,降低生产经营费用。
  • 尽量采用先进技术,以适应煤矿现代化生产发展的需要。

第5节 矿井开拓延深

二、矿井延深方案

1. 主、副井筒直接延深

主、副井筒直接延深

1-主井;2-副井;3-井底车场;4-主要石门;5-运输大巷

1. 主、副井筒直接延深

  • 优点:可充分利用原有设备和设施,提升统一、管理方便、投资少、维护费用低。
  • 缺点:生产与延深相互干扰;延深两个井筒时组织施工复杂;提升高度增加,可能要更换提升设备。
  • 适用性:井筒延深不受地质、水文条件的限制;原有提升设备能满足新水平提升要求;更换提升设备更合理。

2. 暗井延深

暗井延深

1-主井;2-副井;3-暗立井;4-暗斜井

2. 暗井延深

  • 优点: 生产与延深互不干扰; 延深施工容易; 暗井位置、方向、倾角、提升方式不受原有井筒限制; 原有井筒提升能力不变,设备可继续使用。
  • 缺点: 增加了暗井上部车场和硐室的工程量;增加了提升设备和转运环节;暗井辅助提升和通风能力较小 。
  • 适用性:受地质及水文地质条件限制,原井筒不宜直接延深;原有提升设备不能满足新水平需要,又无法更换;原有井筒延深在经济上不合理。

3. 新开主井延伸副井

新开主井延伸副井

Ⅰ、Ⅱ-第一、第二水平;1-原主井;2-原副井;3-延伸副井;4-新开主井

3. 新开主井延伸副井

  • 优点: 对生产干扰小,可大幅度提高矿井生产能力 。
  • 缺点: 需增加改造地面生产系统的工程量; 基建工程与投资大 。
  • 适用性: 需要提高矿井生产能力,结合矿井改扩建的大型矿井。

作 业

  1. 课本70页习题2:运输大巷的布置方式有哪几种?各有什么优缺点?
  2. 课本70页习题3:什么叫井底车场?井底车场有哪几种形式?

  谢谢!

返回目录
返回首页